KOCOUREK už není jen z železáren UŽ JE TO kocourek 💕 VIKOMNT 💕
🔸Vikomnt má, málo bílých i červených krvinek.
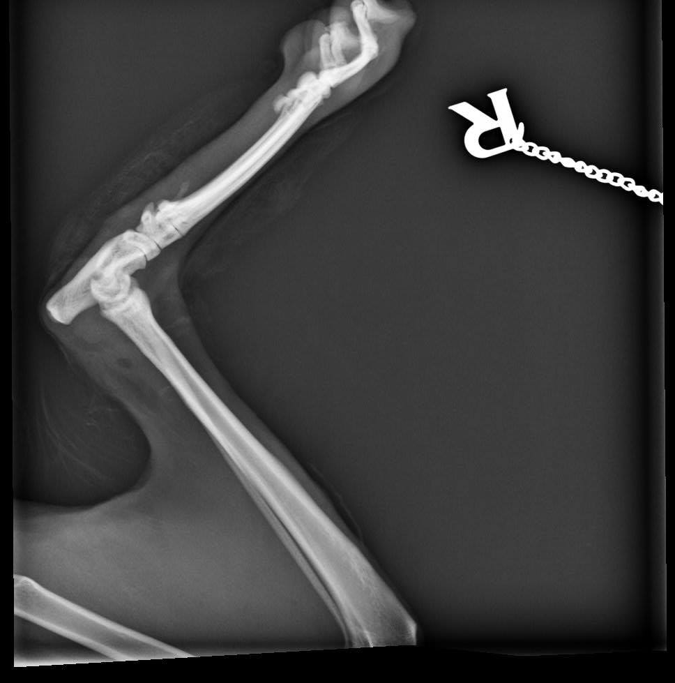
Hodně moc málo. Bílé vem čert, bude za nimi asi stát zánět z rány, který zasáhl i kost a kloub a mnoho dalších zranění které má po těle.
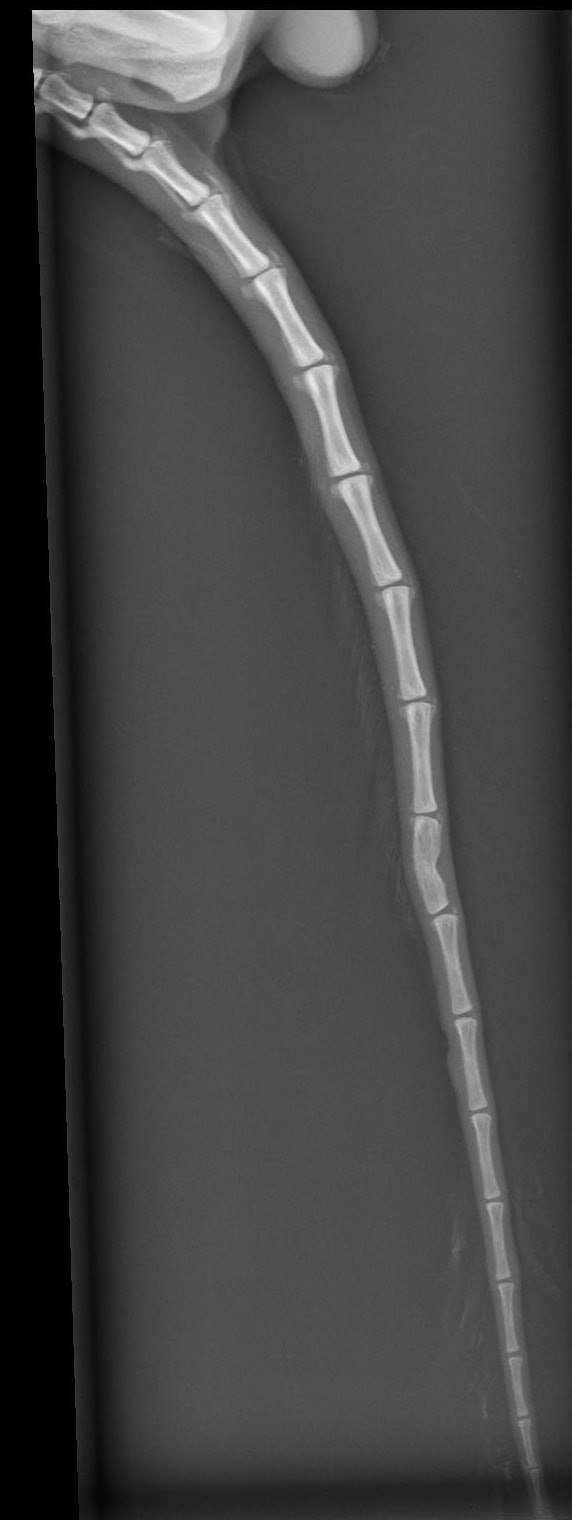
🔸Ocásek je naštěstí vážně zlomený jen 1x. To ostatní jsou jen "šrámy a prkotiny". Zvládli jsme i SONO a RTG.
🔸Krevní transfuze, která byla zvažována není možná. Nepomohla by. Spíše naopak. Musime zjistit proč se červené krvinky rozpadají. Jejich rozpad a jeho přílišné množství z darované krve by mohl poškodit další orgány.
🔸Pokračujeme v ATB, pomale infuzi s výživou a látkou na podporu tvorby krve (náhrada za transfuzi), prevazy a čištění ran.bJe to zlatíčko. Naštěstí jí, i když málo. Hodně spí. Příliš aktivity ho vyčerpává. Těch pár červených krvinek se s kyslikem strašně naběhá a i tak nestíhají 😉
🔸Prognóza je nejistá. Naštěstí je to bojovník který to doteď nevzdal.





